江戸川区東小岩1丁目 新築一戸建て/全12棟 D号棟
月々の支払い
0円
| 物件価格 | 万円 |
|---|---|
| 自己資金 (頭金) |
万円 |
| 金利 | % |
| 返済年数 |
40年(NEW) 35年(一般的) 30年 |
※返済金額はあくまでも目安の数値となります。詳しくは下記よりご相談ください。
資金計画相談お問い合わせ ▶ 篠崎店
0120-664-511
| 価格 | 5990万円 (税込) |
| 所在地 | 東京都江戸川区東小岩1丁目 |
| 沿線・駅 | JR中央・総武線小岩駅 徒歩26分 都営新宿線篠崎駅バス10分 「北篠崎」バス停 停歩2分 JR中央・総武線小岩駅バス12分 「北篠崎」バス停 停歩2分 |
| 建物面積 | 93.57m2(28.3坪) うち1F車庫 面積:8.69m2 |
| 間取り | 3LDK+S |
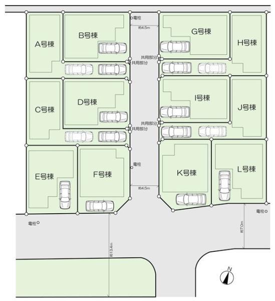
間取り・区画図
おすすめポイント
即日ご案内致します!ハウスプラザ篠崎店
【おかげ様でグーグル口コミ☆4.9】
【全12棟大型分譲地】【東南角地・南西角地】【リビング17帖以上】
【2階建て・3階建て】【災害に強いお家】
詳しくはサブキャッチで↓
【営業が感じたここがオススメポイント】
・まずはなんといっても再開発エリア!小岩エリアの全12棟の大型分譲地のご紹介
・いつでも現地へご案内いたします
・モデルハウスをご用意しております
・今なら2階建て、3階建ての12通りプランをお選びいただけます
・前面道路は南側公道面に面した車通りの少ない安心安全な住環境です
・南東角地、南西角地に面しており、日当たり通風はとても良好です
・各お部屋の広さは十分確保しており、収納スペースは充実
・リビングフロアは17帖以上確保した広々とした空間
・食洗器付きシステムキッチンや浴室換気乾燥機など住宅設備は充実
・住宅性能評価取得物件(設計性能評価・建設性能評価)W取得
【生活環境良好な住環境】
江戸川区南小岩に位置する小岩駅。駅前には大きな商店街がいくつもあり、商業施設や大型スーパーなど買い物環境が充実しております
物件詳細
| 所在地 | 東京都江戸川区東小岩1丁目170 | ||
|---|---|---|---|
| 交通 | JR中央・総武線小岩駅 徒歩26分 都営新宿線篠崎駅バス10分 「北篠崎」バス停 停歩2分 JR中央・総武線小岩駅バス12分 「北篠崎」バス停 停歩2分 |
||
| 総戸数 | 12戸 | ||
| 販売戸数 | 1戸 | ||
| 価格 | 5990万円 (税込) | ||
| 土地面積 | 80.45m2(24.33坪) | ||
| 建物面積 | 93.57m2(28.3坪) うち1F車庫 面積:8.69m2 | ||
| 土地権利 | 所有権 | ||
| 間取り | 3LDK+S | ||
| 築年月 | 令和8年1月 | ||
| 構造 | 木造 地上2階建て | ||
| 都市計画 | 市街化 | ||
| 用途地域 | 第1種中高層住居専用地域 | ||
| 建ぺい率/容積率 | 70% / 150% | ||
| 地目 | 宅地 | ||
| 接道 | 南側 7.00m 公道 東側 4.50m 私道 |
||
| 私道負担 | 有(面積:144.47m²(43.70坪)×持分:1/10) |
||
| 現況 | 未完成 | ||
| 設備 | 都市ガス 公営水道 公共下水 | ||
| 入居年月 | 期日指定 2026年1月下旬 | ||
| 取引形態 | 媒介 | ||
| 備考 | 第HPA-25-09457-1号 景観法、準防火地域、宅地造成工事規制区域、敷地面積最低限度有(70平米)、日影制限有、第二種高度地区 | ||
| 更新日 | 2025年11月3日 | ||
| 次回更新予定日 | 2025年11月19日 | ||
| 取引有効期限 | 2025年11月19日 | ||
周辺環境
| 施設 | 江戸川区立南小岩第二小学校 641m 江戸川区立小岩第二中学校 568m コープみらい ミニコープ小岩店 488m スーパーヤマイチ 小岩店 782m セブン-イレブン 東小岩店 446m ローソン 東小岩一丁目店 468m どらっぐぱぱす 南小岩店 834m 東小岩あかまつ公園 254m 北篠崎二丁目公園 294m 北篠崎クリニック 579m 押上第二幼稚園 1103m 浅間幼稚園 979m 東小岩おひさま保育園 775m タムスわんぱく保育園東小岩 562m |
||
|---|---|---|---|
| 周辺の物件検索 | |||
現地見学会情報
月々の支払い
0円
| 物件価格 | 万円 |
|---|---|
| 自己資金 (頭金) |
万円 |
| 金利 | % |
| 返済年数 |
40年(NEW) 35年(一般的) 30年 |
※返済金額はあくまでも目安の数値となります。詳しくは下記よりご相談ください。
資金計画相談お問い合わせ 篠崎店
0120-664-511





















